Toledo, Saginaw and Muskegon Stations

Anyway, when I first
started collecting photos of the TS&M depots I noticed quite a
variation. When the TS&M was built in 1887-88 it went through 23
towns and villages. It built basically two types of depots, one style
for the smaller less important towns and another for the larger
towns. The least important places were only marked with a sign, these
were Eureka Place, Halls, and Hines Crossing. Sheffield and Reeds had
a boxcar body for a depot.
The two types of depots looked a lot
alike, gable roofs, board and batten siding. The smaller depots are
represented by Gooding. By the time the photo was taken, a freight
addition had been added. Unlike most small depots Gooding was a train
order office. Depots like this were built at Ola, Pompei,
Vickeryville, Millers, Lincoln Lake, Evans, Gooding, Harrisburg,
Slocum, and Moorland.
|
ASHLEY |
|
|---|---|
|
Ashley Historical map |
This Round house was never build. |
|
|
|
|
|
|
|
|
|
|
|
|
In 1912 the Butternut depot was moved across the tracks to the south side of the tracks and a new depot was built on the north side. In 1914 a similar depot was built at Vickeryville.
Depot 2
In 1912 the Butternut depot was moved across the tracks to the south side of the tracks and a new depot was built on the north side. In 1914 a similar depot was built at Vickeryville.
In this photo looking east, the old depot (or a shorter version of it) is on the south side of the tracks. On the north side of the tracks and between the elevator and the boxcars is the roof of the new depot. As for why Butternut had a nicer depot than all the other towns, it could be because of its proximity to Crystal and Crystal Lake. That doesn't explain why Vickeryville also received a new depot.
Here is Butternut in 1967, the depot would have stood just to the
right of the photographer was standing.
Anyone out there with a
photo of the Turkey Trail please post it. TN

Cedar
Springs, Mich. Tom Parker Collection

Tom
Parker Collection

Cedar
Springs Historical Museum Collection
|
Toledo, Saginaw & Muskegon Railway in map of village |
|
By Kaden Douma Picture of the TS&M depot at Slocum. There was a large sawmill and charcoal kilns at Slocum. IIRC The owner of the sawmill was not happy with the rates he was being charged by the TS&M, so he contracted with the GR&I to have a spur built north to Slocum. There was a large dam across Crockery Creek and mill pond at Slocum. My brother in law’s grandparents owned the property next to the trestle where the TS&M crossed Crockery Creek. The ruins of the charcoal kilns and Slocum’s Grove ROW were also on their property. The charcoal was shipped by rail to fire the blast furnaces of Spring Lake Iron Co in Fruitport. |
The larger stations were built the same as Sheridan only the length changed. These were built at Perrinton, Middleton, Carson City, Sheridan, Greenville, Cedar Springs, and Sparta.
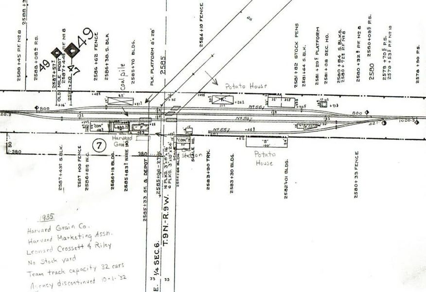
Because Butternut and Harvard were built later in 1888 they were slightly different, having one window on the passenger end and a operators bay and were longer. Here is a photo of Butternut's depot, Harvard was 16' wide instead of Butternut's 12'.

Harvard
Trackage drawing from Jack Simmons
Greg
Bunce Collection
The first depot to change was Pompei, in 1900 it was moved across the road to the east and a freight house and operators bay was added.
In 1916 a new depot was built at Perrinton to a new style. About this time a depot of this style was also built at Sheridan. The milk shed was built in 1892.
Perrinton depot 2
|
MOORLAND STATION Was standing in 1968. A pickle factory behind depot building. |
|
What about Muskegon? Well they didn't have a depot on the TS&M until 1909 when the Grand Trunk built a brick depot, see below. This depot was replaced in 1930 when the GTW moved the Flint depot to Muskegon.
Muskegon depot
The Grand Trunks' replacement of the Perrinton, Butternut, Sheridan, and Vickeryville depots has always puzzled me. At first I thought they had burned down, buildings used to burn down a lot. But four buildings in that same area in about four years time, an arsonist on the loose? Then I found a photo of Butternut with both depots!
This photo of the Vickeryville depot was taken in 1917 as part of
the TS&M's valuation report.
In the late 1940's and 50's the
Butternut agent would split time between the two depots. The agent
would report to Vickeryville at 8:30am and work until 11:15am and go
to the Butternut depot by 11:30am. They would then leave the
Butternut depot at 3:30pm and go back to the Vickeryville depot at
3:45pm and lockup at 5:30pm. This went on until the Butternut and
Vickeryville depots were closed between 1958 and 1960.
|
GREENVILLE |
|
|
|
|
|
|
|
|
|
|
The tower you see, is now on the Coopersville & Marne RR in Coopersville, C&O junction point.
GREENVILLE Freight house Passenger station and interlocking tower