TrainWeb.org Facebook Page
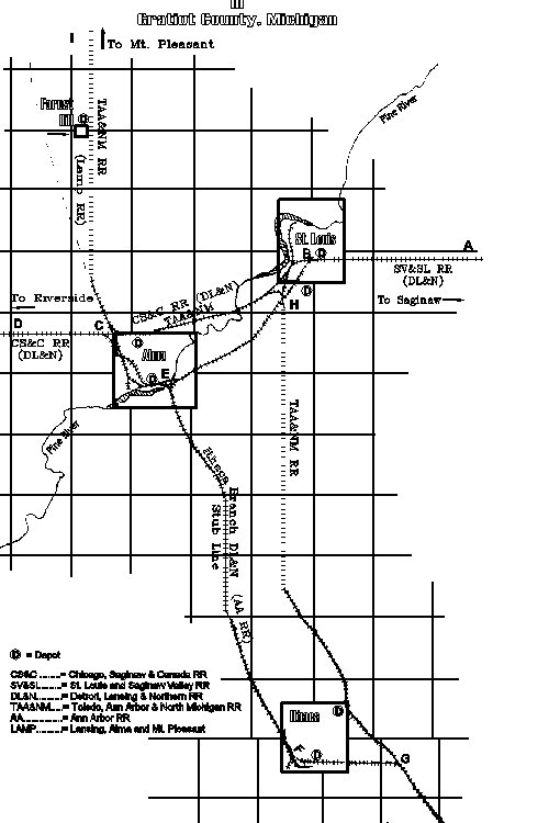
Railroad Development in Central Gratiot County, Michigan

Railroad Development in Central Gratiot County, Michigan

A B

St. Louis and Saginaw Valley Railroad came from Saginaw to St. Louis in 1872

 

B C D

Chicago, Saginaw & Canada Railroad from St. Louis to Alma and points west (Edmore, Lakeview) 1875+

B E C

Because Alma's factories were in the southern part of the village, the D L & N rerouted its tracks in 1883

B- C

line abandoned and rails removed 1883

E- F

Ithaca Branch of the D L & N in 1882-3

G H

Toledo, Ann Arbor & North Michigan Railroad arrives in Ithaca and St. Louis 1884

C I

Lansing, Alma & Mt. Pleasant Railroad begun by A. W. Wright to force the Ashleys to include Alma on the T, AA & NM route in 1884

H C

The abandoned CS&C (DL&N) line re-ironed for the TAA&NM.  Awkward curves at 'H' and 'C' brought the T, AA & NM to Alma, but for years slowed trains and irritated both Engineers and Conductors.

F G

Connector line established in Ithaca in 1895

E F

Ithaca Branch line improved.  Became main line of the Ann Arbor Railroad.

G H

Line to St. Louis abandoned 1895.  Lawsuits followed - tracks torn up in 1897.

C H

Tracks abandoned and removed again