|
An aluminum recycle plant was built on the east side of Wisconsin Rapids in about 2019, but I never really looked at it until now.
They have a little trackmobile in 2023, I didn't expect that. |

|
Just to the south, outside of the company fence, is the end of the spur from the 48th Street Industrial Park. There is a big D derail switch stand so nothing escapes this new little yard. CN would deliver and pick up cars here. And look at all the switch stands and track bumpers in the distance. |

.
|
Looking back to the left, there's the trackmobile again. The Google map show's the company location as the company Matalco but the aerial view is old and just shows a field and pine trees. |

.
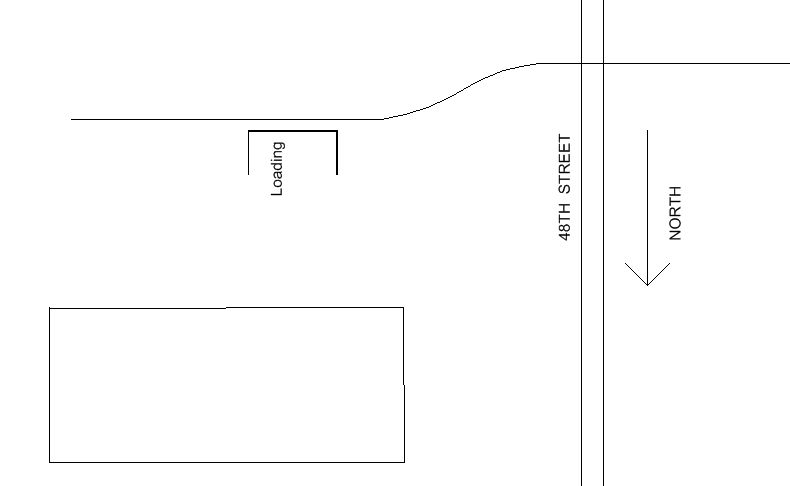
I realized I never had my own picture of this place ( I only drive past it maybe twice a year)
I looked on the internet for some old (2020) pictures of this new plant, and from that I made
a crude map, not to scale, drawn 'up side down' with North pointing down on the page.
There used to be a single track to their outdoor loading dock,
and most of that is what shows in the first picture on the top of this page if you take away the bumper,
open the gate and re-lay the track on the gravel driveway.

.
And sometime 'recently' before April 2023, they took away the S-curve by the street,
added the Derail and sidings and bumpers.
If the 48th Street rail spur would ever be extended to future customers, it would go east / left to the edge of my page.
Now, the CN local switch engine doesn't have to get permission to open a gate to get to the loading dock.
I wonder if the new track arrangement gains some economic advantage for the plant,
because now the final handlers of the rail cars recoup some shipping fees?
Long ago, it was said the cost of shipping cars amounted to about 25% for the railroad that picked up the car from the dock,
50% for the long haul carrier, and 25% for the railroad that placed the car at its destination.

This company receives scraps of aluminum and melts them into billets, rods about a half foot or more in diameter,
and several feet long I think that's what is shipped out in railcars.
The Trackmobile can spot cars anytime and anywhere, but not west of the Derail.
It would make an interesting track plan for some little model railraod on a shelf.
You could move a trackmobile by string or by hand, or maybe use a GE 44 tonner diesel.
.
| Looking back west from 48th Street, at the industrial spur that's been there for over 10 years |

Link to other trackmobiles:
This one used to be a half mile east of 48th street
Another Trackmobile in Wisconsin Rapids at Brokaw Corn.
And I seem to have 'lost' my link to more info about the 48th street industrial park and a red trackmobile at the agriculture depot.
to My Main Index Page on the TrainWeb site.
This page was made in April 2023