TrainWeb.org Facebook Page
Culver City construction

Phase 2 presentation images


10/15/12 — Here are four new station plans to go with the renderings below.

Westwood Expo station plan

Westwood Boulevard

Bundy Expo station plan

Bundy Drive

Bergamot Expo station plan

Bergamot Station (26th Street)

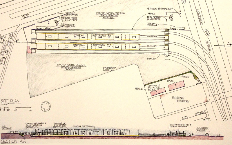
4th Expo station plan

Fourth Street terminus station


7/10/12 — Tonight's Expo Authority - Skanska/Rados Phase 2 community meeting featured posters of these new renderings of the stations.

Palms-National

Westwood

Westwood

Sepulveda

Bundy

26th

26th

4th 


5/9/11 — Tonight's Expo Authority - Skanska/Rados Phase 2 community meeting featured posters of these "site concept" images of the stations.

Downtown Santa Monica terminus at Colorado and 4th Street.

Colorado and 17th Street.

Olympic and 26th (Bergamot Station).

Bundy and Olympic.

A concrete through-girder bridge is thinner above Sawtelle Boulevard, west of I-405.

Sepulveda Boulevard.

Westwood Boulevard.

National / Palms. A new concrete through-girder bridge will be next to the existing steel plate girder bridge. The bridge over Motor Avenue will be replaced with a new concrete bridge.

Samples of landscaping, featuring Phase 1.

They also had rolled out plan and profile drawings; note the vertical scale is exaggerated.

Santa Monica, from 4th to 17th along Colorado.

The bridge over Olympic and Cloverfield, with a retained-fill section like west of La Cienega in-between.

The bridge with station over Bundy; somehow the Centinela bridge got lost between sections.

Bridges over Pico, Sawtelle, and Sepulveda. Note the existing I-405 freeway bridge just to the right of the through-girder at Sawtelle.

Bridges over Motor and Palms/National.

Expo's Gaby Collins emphasized the consistency with Phase 1 in her slide presentation.

Mike Aparicio, lead of the construction team, pointed out the company leads (below).

Here are major milestones ahead. Utility work and right-of-way clearing — leases will terminate — will be well underway this fall.

Heavy construction will probably begin early in 2012, after authorized by the Expo board. They have the capacity to build bridges in multiple locations at once, and will probably start at Pico.

Nice logo.


Home   Back to News   Back to Phase 2