Some CANPA Subdivision Maps Click Map Icon to open a new window - Use BACK to return here | THE CANPA SWITCH TENDER 2018 |
O&Q CPR Map Book Coverpage 1911 |
|
All EastBound Trains contact the Switch Tender at the Canpa from Long Branch GO station for their permissive signal at Canpa
The Switch Tender:
"GO (or VIA) 9xx (xxx), Canpa Spur Switch Tender, confirming you have a permissive signal at Canpa, Over?"
If his reply is "yes" he lines the train to the Canpa West/(GO) North track unless conditions change for the Canpa East/(GO) South
|
O&Q - CPR Blueprint 1930 |  |
Then on his/her radio he/she replies:
"GO (or VIA) 9xx (xxx), the switch at mile 2.48 Canpa Sub is now lined and locked for the (GO) North/ (Canpa) West track. You are ok to proceed, over."
GO (or VIA) 9xx (xxx) replies "Okay to proceed for the (GO) North/ (Canpa) West track, out."
However, if the tracks changed and his/her reply was/is "NO"
"GO (or VIA) 9xx (xxx), Canpa Spur Switch Tender standing by for when you have a permissive signal."
When the permissive signal is given the Switch Tender replies
"GO (or VIA) 9xx (xxx), the switch at mile 2.48 Canpa Sub is now lined and locked for the (GO) North/ (Canpa) West track. You are ok to proceed, over."
|
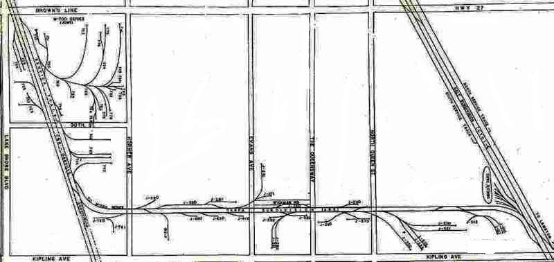
CPR Zone Maps Canpa 1960-70 |
| Along the Canpa, trains are governed by CPR signals along the Canpa.
Before the junction with the CPR Galt Sub Eastbound trains must contact the CPR train dispatcher (RTC) at the Queensway overpass to request signal number 02-3 Canpa Sub for a permissive signal onto the number two track of the CP Galt Sub
|
North Queen Underpass
Announced 03 March 1994 - Completed late 1995 |
| All westbound trains are to contact the CNR RTC to request the 085D signal which governs trains onto the Oakvile Sub at the Queensway Overpass
All Westbound trains will contact the Switch Tender when they arrive at Horner Ave and which they must not block
"GO (or VIA) 9xx (xxx), standby."
The Switch Tender then checks for a permissive signal. When the permissive signal shows and any Eastbound train is clear, the Switch Tender lines the switch for the East/South track Oakville Sub (unless advised otherwise) for the Oakville Sub.
The Switch Tender will not tell the crew the signal since they must observe it as per CROR.
Then, the Switch Tender says:
|
CPR (GO) Canpa Sub 2017 | 
|
"GO 9xx (VIA xxx) the mile 2.48 switch Canpa Sub is lined and locked for the route to be used. Ok to proceed towards the Oakville Sub, Over."
Westbound trains are governed by signal indication along the Galt Sub
|