TrainWeb.org Facebook Page
Maps and Trackcharts of NW Ohio - Conrail

Maps and Trackcharts of NW Ohio

Conrail

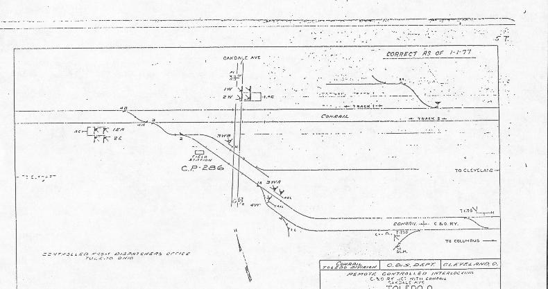
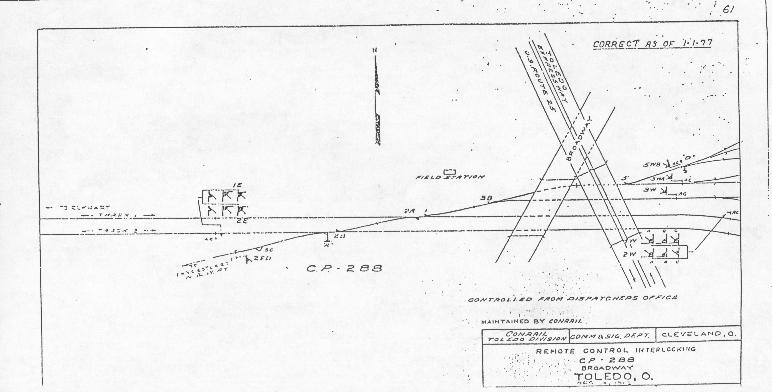
Toledo, OH - Maps of interlockings.

Chicago Line


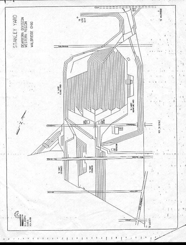
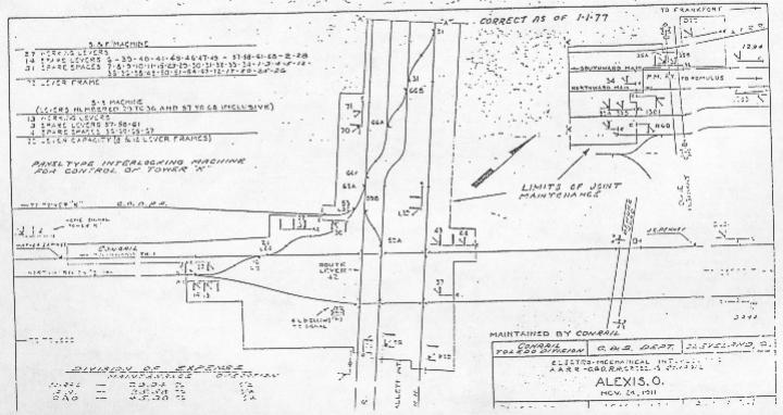
Other Toledo locations

Maps of NW Ohio
Home