TrainWeb.org Facebook Page
Maps and Trackcharts of NW Ohio - MAW

Maps and Trackcharts of NW Ohio

CSX

Toledo, OH

Ore Docks

Walbridge Yard

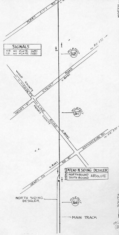
Toledo Subdivision - Toledo,OH (Walbridge) to Deshler, OH