TrainWeb.org Facebook Page
CNR Zone Maps

Canadian National Railways
ZONE MAPS
 

Below are SUBDIVISION NOTES and LINKS for the CNR Zone Maps. All maps are authentic Canandian National Railways track schematic maps dating between 1962 and 1982 for the Great Lakes Region / Ontario Division. The Oakville Subdivision I converted to a Train Dispatcher Computer simulation in 1999 and from CNR maps designed between 1964 and 1968 for the GO Transit expansion on the Lakeshore Corridor.

The Zone Maps are more historical now than ever as most of these track plans have been heavily changed or do not even exist today. Several maps have purposely left out details.



(click on link below or scroll down / use BACK button)

[ Map Overview 1980-90 | GO Whitby Rail Yard | GO Willowbrook Yard ]

[ Port Perry Sub | Campbellford Sub | Penetang Sub | Sutton Sub | Coboconk Sub ]

[ Haliburton Sub | Midland Sub | Meaford Sub | Leaside Spur-North Toronto Branch ]

| GECO Spur | Newmarket Subdivision | Uxbridge Subdivision | Oakville Subdivision ]

[ Bala Subdivision ]


[ Canadian Pacific Railway Galt Sub Toronto Area Zone Maps ]

Return to RGB's: Telegraph Site -or- GO Transit Motive Power Website ]


CNR Great Lakes Map Overview   GO Transit
ZONE:  New Whitby Rail Yard (2018)
Overview
(Mouse Over Maps)
  West End | East End
Return to top  :Return to top

Port Perry Sub:
Whitby Town Spur & Harbour Branch
ZONE:
Overview
Whitby Spur
35-W Whitby
Return to top

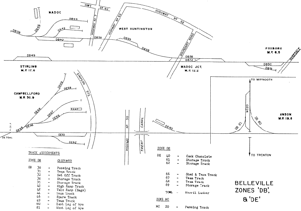
Campbellford Sub:
Lakefield Spur, Madoc Spur, Marmora Sub
ZONE:
Belleville 'DA'
Belleville 'DE'
Belleville 'DS'
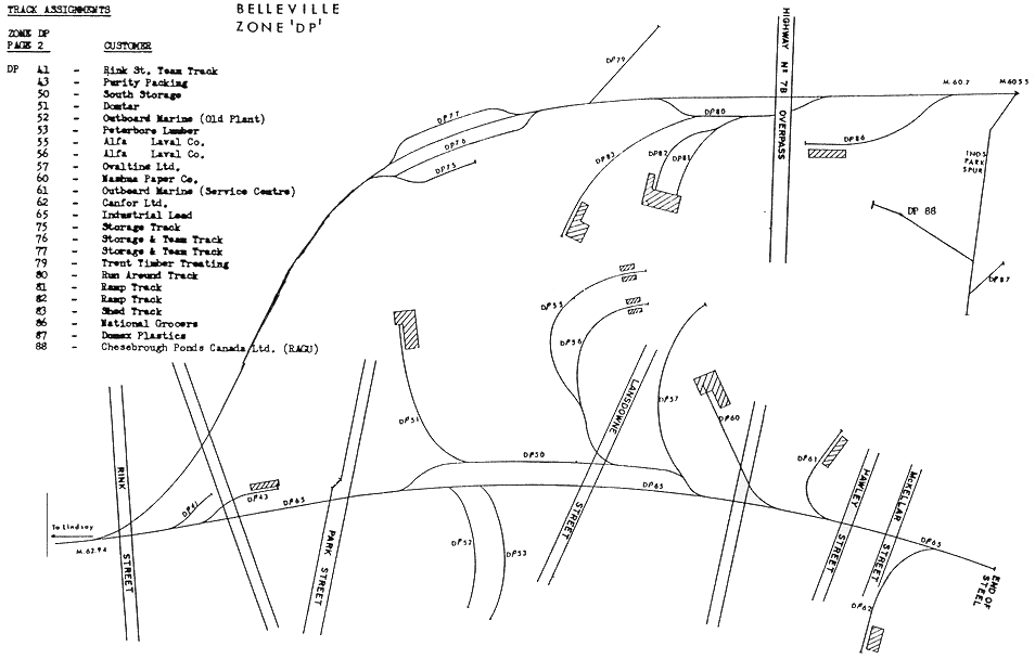
Belleville 'DP'
Belleville 'DP'
Belleville 'DQ'
Belleville 'DQ'
UPDATE 1999
Belleville 'DP'
UPDATE 1999
Belleville 'DP'
UPDATE1999
Return to top

Penetang Sub:
Penetang Spur
ZONE:
Penetang 'PA'
Penetang 'PA'
Penetang 'MA'
Return to top

Sutton (Bala) Sub:
Sutton Spur
ZONE:
Bala 'AB'
Return to top

Coboconk Sub:
Cannington Spur
ZONE:
MacMillan 'UA'
Return to top

Haliburton Sub:
ZONE:
Belleville 'HA'
Return to top

Midland Sub:
ZONE:
Midland 'FA' Page 1
Midland 'FA' Page 2
Return to top

Meaford Sub:
ZONE:
Meaford 'MA'
Meaford 'MB'
Meaford 'MA' - UPDATE 1999
Meaford 'MB' - UPDATE 1999
Return to top

Leaside Spur
North Toronto Branch
ZONE:
Leaside Zone 'R/1'
Leaside Zone 'R/2'
Leaside Zone 'R/3'
Leaside Zone 'R/4'
Return to top

GECO Spur
ZONE:
Scarboro Geco Branch
Zone 'T'
Scarboro Geco Branch
Track Assignments
Return to top

Newmarket Subdivision
ZONE:
Newmarket 'F' Bathurst St
Newmarket 'E' West Toronto(1)
Newmarket 'E' West Toronto(2)
Newmarket 'D' West Toronto
Newmarket 'NA', 'A'
Newmarket 'NB'
Newmarket 'NC'
Newmarket 'ND'
Newmarket 'NE'
Newmarket 'NF'
Newmarket 'NK'
Newmarket 'NP'
Newmarket 'HA', 'A'
Newmarket 'HB'
Newmarket 'HC'(1)
Newmarket 'NC'(2)
Newmarket 'HE'
Newmarket 'A'&'BP'
Newmarket 'B'
Newmarket 'C' & 'D'
UPDATE: Newmarket 'NE' (1999)
UPDATE: Newmarket 'NF' (1999)'
Return to top

Uxbridge Sub:
ZONE:
Uxbridge 'UB'
Uxbridge 'UA'-2
Uxbridge 'UA'-3
Uxbridge 'UA'-4
Return to top

Oakville Sub:
ZONE:
Oakville Map 1 - ALL maps converted from my (RGB's) 1999 simulation
Oakville Map 2
Oakville Map 3
OakvilleMap 4
Oakville Map 5
Return to top

Bala Sub:
ZONE:
DON Zone 'P'
Oriole - Zone 'Z'
Thornlea - Zone 'Z'
Richmond Hill - Zone 'Z'
Zone 'AA'
Zone 'AB'
Falding Conversion
Pefferlaw Conversion
Rathburn Removal
Sparrow Lake Conversion
Zephyr Conversion
Return to top


Return to RGB's: Telegraph Site -or- GO Transit Motive Power Website ]