TrainWeb.org Facebook Page
Railroad

 Nottingham Historical Society

18326 St. Clair Rd. Cleveland, Ohio 44110

notthistorysoc@aol.com

 

Welcome           Our Railroads          Churches          Homes          Schools          Misc.Bldings          Genealogy          Maps          Links

Our Railroads

The Beginning:

"Opening of the Cleveland Painesville and Ashtabula Rail Road."

"On Saturday last, in company with the Directors and Officers of the three roads which centre at Cleveland, passed from Cleveland to Painesville, and back, on the first car that ever ran on the South shore of Lake Erie. This is an era in the History of Cleveland and the country, East and West, and we record it as such."

from the TRUE DEMOCRAT. Monday Morning, November 17. 1851

While it was another year before this road was open all the way to the state line, the CPA RR was open for business, hauling passengers and freight between Cleveland and Painesville in November of 1851. The same newspaper article references our area twice:

"We passed over two bridges; one at Euclid Creek, and the other at Willoughby, on the Chagrin River. The first is a solid stone arch..." and "...The Water Stations are unsurpassed in convenience, and the Depots at Euclid and Willoughby will be well arranged."

 

 

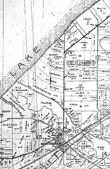
Soon a small village developed around the Depot. In 1858, Euclid Depot is the name labeling this area on Hopkin’s Map of Cuyahoga County. It is even included as one of a few inserts of villages and hamlets, along with the other "suburbs" of Cleveland: Doan's Corners, Collamer Village, and Euclid.

 

In 1861, Abraham Lincoln rode the CPA RR through the village on his way to his inauguration. It is very likely that he made a brief speech to the crowd that cheered him at the depot. Somewhere before 1865, the depot was renamed Nottingham, to honor Henry Nottingham. Henry Nottingham was the Superintendent of the CPA RR. In 1861, it was Henry Nottingham who escorted the soon to be president down Euclid Avenue in a carriage pulled by four white horses. The William Case, a wood burning steam engine, escorted Lincoln as he rode from Cleveland to Erie.

 

 

 

 

In 1865, Superintendent Nottingham was again in charge of making arrangements as the Funeral Train left Erie in route to Cleveland. The William Case served the President one last time. The time card shows the times and further documents Henry Nottingham's important role in this tragic event. There are several stories told about Lincoln's Funeral procession. One of our members can track one of the cars that was part of this train. Unfortunately, time and mother nature have destroyed it!

 

 

 

 

 

 

 

 

 

On May 10th, 1869, a nation "listened" (via telegraph) as the Golden Spike was driven at Promentory Point, connecting east coast to west coast. Henry Nottingham took part in that ceremony, saying a few words and driving in one of the last iron spikes just prior to the Golden Spike Ceremony. With the Transcontinental Railroad complete, the railroads' impact on Cleveland and our little village was incredibly significant. Amasa Stone became Cleveland's first millionaire. John D. Rockefellor became the wealthiest man in the world and Cleveland's Millionaire Row had more than a few Railroad Men living on Euclid Avenue!

 

 

The CPA RR was also called the Cleveland Erie Railroad. It merged with the Cleveland Toledo Railroad and became the Lake Shore Railroad and in the late 1860's merged with the Southern Michigan RR to become the Lake Shore and Southern Michigan RR. Nottingham Station continued to serve the community into the 20th Century. With the Collinwood Shops so close, the Village of Nottingham soon became home to many Railroaders! The Nickel Plate Railroad, Nottingham's southern border, was not complete until 1882. These railroads provided the backbone for an industrial complex that provided goods & services and jobs for the greater Cleveland area.

 

 

 

 

 

 

 

 

 

 

 

 

 

 

 

 

 

 

 

 

 

Another rail soon rolled through the Village! In 1895, the Cleveland Painesville and Eastern Railway provided daily connections between the "suburbs" and the city. This was the age of the Interurban. Its frequent "Stops" made it possible to work and shop anywhere along the rail. Today's East 185th Street Shopping District was a direct result of where the rail was laid. Check out the 1903 map with its Stops clearly marked! The railroad has played a key part in our history.

 

 

 

 

 

We are searching for photos and stories from Nottingham's railroaders. Contact us if you have something to share!